REAL ESTATE

不動産情報

Home > 不動産情報 > 売土地 > 紫原でお探しの方必見!立地良!!
売土地
紫原でお探しの方必見!立地良!!
現地

現地

現地

現地

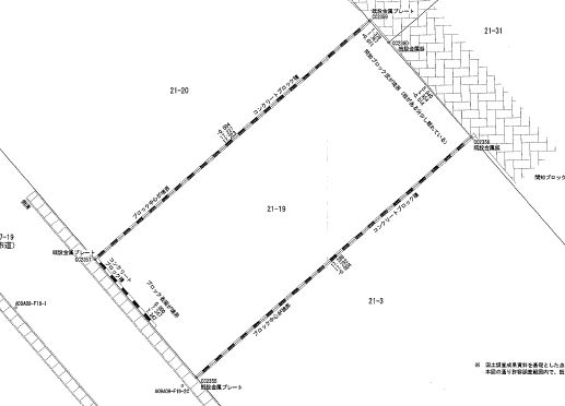
区画図

区画図

前面道路

前面道路

地図

地図

価格
1,380万円
平米
126.58㎡(38.29坪)
地目
宅地
用途地域
第2種中高層住居専用地域
建蔽率
60%
容積率
200%
町名
鹿児島市紫原7丁目
交通
【バス停】天神ヶ瀬戸  徒歩3分
取引形態
仲介
備考
生協まで徒歩3分、バス停も近く生活便利な場所。閑静な住宅街で子育てにも最適な場所です!
URL
https://www.athome.co.jp/tochi/6987974905/?DOWN=1&BKLISTID=001LPC&SEARCHDIV=1&sref=list_simple

お電話でのお問い合わせ

099-295-3927

受付時間:10:00〜18:00
(定休日:毎週水曜、祝祭日)

その他のおすすめ
スマート端末を持った手

CONTACT US

サンタスホームの家づくりに
興味のある方は
お気軽にお問い合わせください。